Ученые раскрыли неожиданную пользу винограда
Группа ученых из Женевского университета выяснила, что фенольное соединение ресвератрол, содержащееся в винограде, обладает полезными свойствами для борьбы с раком легких, сообщает портал Science Daily.Для определения этих свойств исследователи провели эксперимент с ...
Создан материал, производящий водородное топливо при помощи искусственного фотосинтеза
В ходе эволюции и развития видов, природой было «придумано» такое количество весьма интересных процессов, которые даже при нынешнем развитии технологий воспроизвести крайне сложно. Одним из таких процессов является фотосинтез – крайне выгодный с энергетической точки рения механизм....
Эксперименты с БАК могут сжать Землю до размеров футбольного поля, предупреждают астрономы
Мартин Рис, уважаемый английский космолог, сделал весьма смелое заявление на тему ускорителей частиц: существует небольшая, но реальная возможность катастрофы. Ускорители частиц, вроде того же Большого адронного коллайдера, выстреливают частицами с невероятно большой скоростью, сталкивают их вместе,...
Впервые выявлена структура белка, ответственного за устойчивость к антибиотикам
Процесс формирования устойчивости бактерий к антибиотикам изучен достаточно хорошо и препараты для борьбы с вредоносными микроорганизмами все еще не позволяют им взять верх над нами. При этом оставались в механизмах развития резистентности и свои «белые пятна». Но недавно группа немецких...
Названы самые надежные способы избежать гриппа
C конца августа у станций московского метро и МЦК постоянно дежурят машины скорой помощи. Рядом — синие палатки: врачи консультируют прохожих, некоторым даже делают уколы. Главная цель мобильных медицинских бригад — профилактика. Врачи спешат привить как можно бо...
Разработан способ сохранения солнечной энергии в течение 18 лет
Солнечная энергия является, вне всяких сомнений, весьма перспективной технологией, да к тому же еще и экологически чистой. Но есть одна проблема: хранение энергии. Если ее сразу не использовать – потери будут весьма значительными. Конечно, можно использовать литий-ионные аккумуляторы или более...
Российские ученые изобрели "умную" линзу
Ученые Тюменского государственного университета (ТюмГУ) разработали уникальную варифокальную жидкую линзу на основе термокапиллярного эффекта. Как утверждает доцент кафедры радиофизики ТюмГУ Наталья Иванова, новая линза обладает рядом преимуществ по сравнению с существующими аналогами...
Ученые нашли средство, замедляющее старение
Ученые из Университета Миннесоты и Клиники Майо в США выяснили, что природное вещество физетин, которое содержится во многих овощах и фруктах, оказывает положительное влияние на здоровье и продолжительность жизни человека, соответствующий пресс-релиз был опубликова...
10 фактов, делающих Марс похожим на Землю
Земля и Марс имеют много общего. Обе планы имеют сходный ландшафт, однако на Марсе наблюдается нехватка воды, кислорода и атмосферного давления, необходимых для поддержания земной жизни. В сравнении с нашей планетой Марс обладает меньшими размерами и массой – он на 53 процента меньше Земли и в...
GENECIS: проект по переработке пищевых отходов в биопластик для 3D-печати
Утилизация пищевых отходов, пожалуй, является одной из важнейших проблем, касающихся экологии. И если с выбросом веществ в результате сгорания или с бензиновыми двигателями в теории можно что-то сделать, кардинально отказавшись от них в пользу экологически чистых источников энергии, то вот отказатьс...
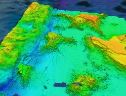
Морской беспилотник "Витязь" будет вести трансляцию из Марианской впадины
Российский морской беспилотник "Витязь", которого планируется отправить осенью 2019 года на изучение Марианской впадины в Тихом океане, будет вести прямую трансляцию с глубины 11 тысяч метров, сообщил РИА Новости руководитель проектной группы Фонда перспективных исследований...
Альтернатива человеку: на Земле возможна морская цивилизация
В процессе эволюции шанс обрести разум был у многих видов, но воспользовался им только человек. Динозавры, птицы, большинство приматов до определенного момента вполне эффективно развивали мозг и приобретали ключевые качества: двуногость, хватательную кисть, социальность. Что поме...



